Lotissement confort meilars
29790 Confort-MeilarsDétails du lotissement
- Lotissement ID: 1005
- Localisation: 29790 Confort-Meilars
- Type de Bien: Terrains constructibles
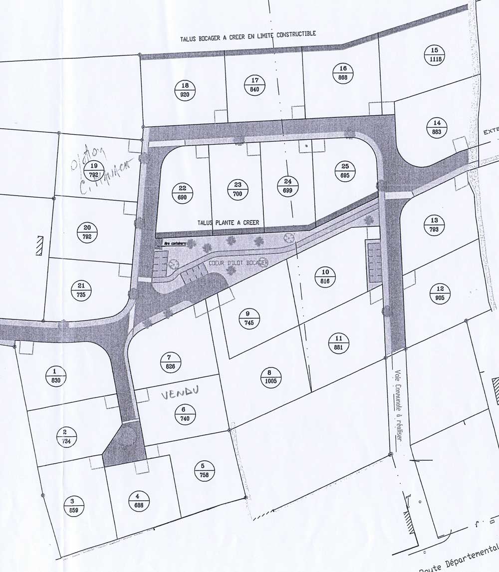
- Nombre de terrains 25 terrains
- Nombre de terrains vendus 17 terrains
- Nombre de terrains réservés 1 terrains
- Nombre de terrains disponibles 7 terrains
Description du lotissement
hameau de park ar stang sur la commune de Confort-Meilars dans le departement du 29. Il dispose de 25 terrains constructibles à vendre. Si tous les terrains sont vendus ou réservés, vous pouvez néanmoins nous contacter pour que nous vous aidions dans votre recherche. Il se peut aussi qu'un terrain réservé repasse en libre suite à un désistement de l'acquéreur.
Caractéristiques et Equipements
- Terrain constructible
- Réseaux Electrique
- Réseaux D'eau
- Réseaux d'assainissement
- Réseaux d'eau Pluvial
- Aménagement des voiries
- Réseaux Internet et télécommunications
- Parkings publics
| N° de terrain | Surface | Prix |
|---|---|---|
| 1 | 830 | LIBRE |
| 2 | 734 | VENDU |
| 3 | 859 | OPTION |
| 4 | 688 | LIBRE |
| 5 | 758 | VENDU |
| 6 | 740 | VENDU |
| 7 | 826 | LIBRE |
| 8 | 999 | LIBRE |
| 9 | 745 | LIBRE |
| 10 | 826 | VENDU |
| 11 | 865 | VENDU |
| 12 | 871 | LIBRE |
| 13 | 793 | VENDU |
| 14 | 883 | VENDU |
| 15 | 1118 | VENDU |
| 16 | 868 | VENDU |
| 17 | 840 | RESERVE |
| 18 | 920 | VENDU |
| 19 | 792 | VENDU |
| 20 | 792 | VENDU |
| 21 | 735 | VENDU |
| 22 | 690 | VENDU |
| 23 | 700 | VENDU |
| 24 | 699 | VENDU |
| 25 | 695 | VENDU |
Demandes d'informations sur un terrain
Contactez Finis'Terrains
contactez Finisterrains pour plus d'informations sur un terrain à vendre !
- Telephone: 02.98.01.48.21
- Email: contact@finisterrains.com